조황관리HOME / 조황관리 / 상세정보

제목 : 11월 12일 뉴스카이호 우럭~ 광어 조행기
등록일 : 2025-11-12



안녕하세요 ~
뉴스카이호 들개선장입니다.
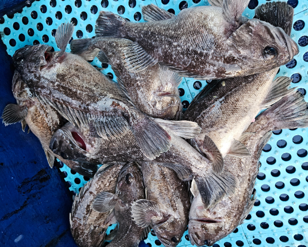
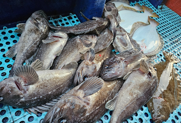
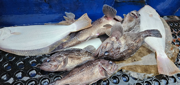
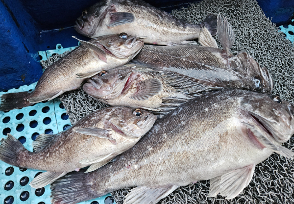
오늘 9분 조사님들 모시고 우럭사냥 다녀왔습니다.
어초~ 똥들 뒤지면서 즐겁고 재미있게 손맛들 즐기시다
입항 하였습니다.
다들 드실만큼 잡으신것 같습니다.
오늘도 낚시들 하시느라 고생들 많으셨습니다.
항상 조황을 위해 열심히 최선을 다하는
뉴스카이호가 되겠습니다.
감사합니다.

1000031603.jpg


1000031605.jpg


1000031601.jpg


1000031608.jpg


1000031609.jpg


1000031611.jpg


1000031615.jpg


1000031617.jpg


1000031619.jpg


1000031613.jpg


1000031622.jpg


1000031623.jpg


1000031628.jpg


1000031630.jpg


1000031634.jpg


1000031636.jpg


1000031641.jpg


1000031640.jpg


1000031638.jpg


 


 

===== 뉴스카이호 예약안내 ======

안녕하세요! 뉴스카이호입니다.
먼길 찾아주시는 조사님들을 위해 항상 최선을 다하겠습니다. 

■ 예약문의 : 
010-4102-5415

■ 오시는길 : 충남 보령시 오천면 충청수영로 719

■ 뉴스카이호 실시간 예약 바로가기 :
http://newsky.sunsang24.com/

■ 계좌안내 :
 수협 / 350-61-035717 / 조성진

뉴스카이호 조황카드.gif 
Top